A vendre – terrains viabilisés – Morlaàs – Buros (64)
Télécharger l'annonceLe plus du bien
- Zone très proche de l'agglomération Paloise
ADI
établit des mises en relation vers des offreurs de solutions mais ne réalise
elle-même aucune contractualisation ou transaction
Présentation du bien
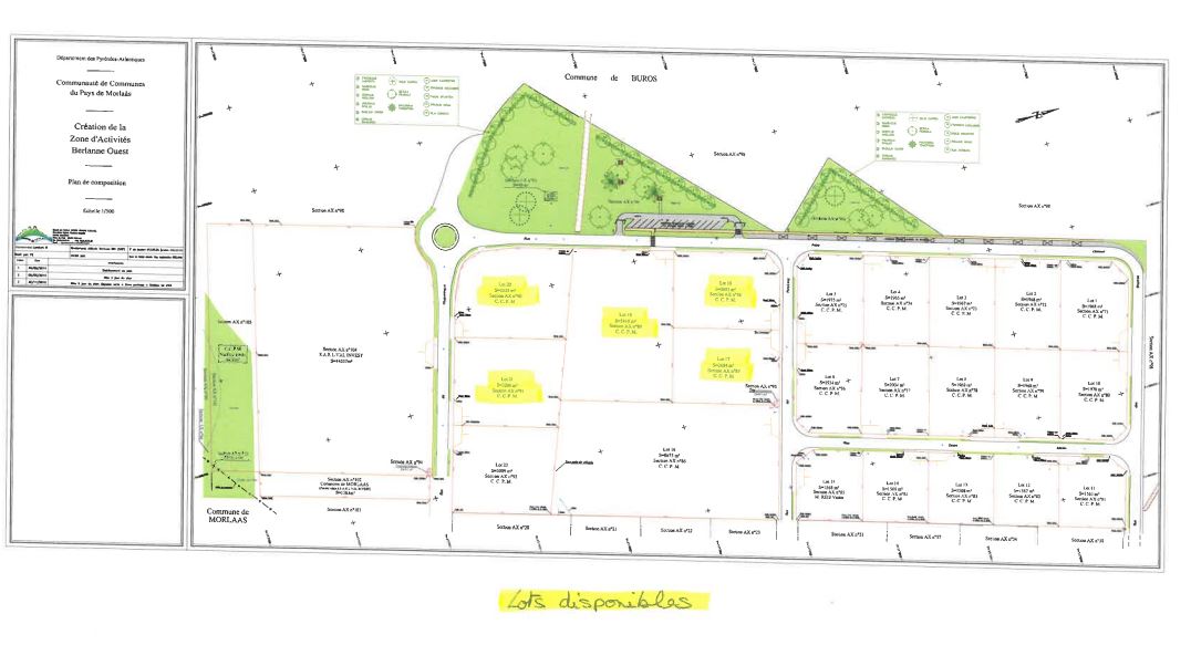
Découvrez cette opportunité unique : des terrains viabilisés à vendre dans la zone attractive de Morlaas Buros. Les surfaces varient entre 2684 m² à 5400 m², correspondant aux lots 17 à 21 sur le plan joint. Les terrains proposés sont parfaitement viabilisés, prêts à accueillir vos projets immobiliers. La gamme de surfaces disponibles, allant de 2684 m² à 5400 m², offre une grande flexibilité pour répondre à vos besoins spécifiques. La localisation de ces terrains à Morlaas Buros offre un cadre de vie exceptionnel, bénéficiant d'une proximité avec les commodités tout en profitant du charme unique de cette région. Si vous cherchez à investir dans l'immobilier à Morlaas Buros, ces terrains viabilisés sont une opportunité à ne pas manquer. Prenez contact dès maintenant pour plus d'informations sur ces terrains exceptionnels.Offre Exceptionnelle : Terrains Viabilisés à Vendre à Morlaas Buros
Caractéristiques des Terrains à Morlaas Buros
Attractions et Commodités de Morlaas Buros
Saisissez cette Opportunité d'Investissement
- Proximité agglomération de Pau avec ses services et ses commerces
- Proche futur échangeur Autoroute A64
- Proche Chronopost et Amazon
- Tous les services de l'agglomération de Pau
Les caractéristiques du terrain
- Lots de 2684 m² à 5400 m² - Assainissement collectif
- La Communauté de Communes souhaite privilégier les cessions pour les projets d'entreprises selon les critères de priorité suivants :
▶️ Entreprises industrielles, de service à l'industrie et d'artisanat de production
▶️ Installation d'activités apportant un nouveau service aux entreprises au sein de la ZA
1 m²
non
Oui
oui
oui
oui
Contactez-nous
ON VOUS RAPPELLE !
Laissez-nous votre numéro.
Un conseiller vous recontacte.
POUR NOUS JOINDRE...
N’hésitez pas à nous contacter par téléphone au 05 57 57 84 84 du lundi au vendredi.